



Περιγραφή
Αν ονειρεύεστε ένα οικόπεδο με θεα θαλασσα εμείς το ψάξαμε και σας το παρουσιάζουμε.Μοναδικο οικόπεδο σε σημείο με καταπληκτική θεα, αρτιο και οικοδομήσιμο. Πωλείται ολόκληρο στα 65.000 αλλά και μισό μισό οικόπεδο στα 35,000 και 30,000 ευρω.
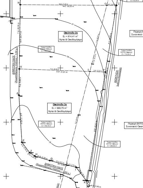
Μοναδική ευκαιρία για αγορά παραθαλάσσιου οικοπέδου βρίσκεται σε προνομιακή τοποθεσία, κοντα στη παραλία προσφέροντας απαράμιλλη αίσθηση γαλήνης και ηρεμίας.
Για κάθε επίσκεψη ακινήτου, είναι υποχρεωτική η προσκόμιση ταυτότητας ή διαβατηρίου, καθώς και του αριθμού Α.Φ.Μ. του ενδιαφερόμενου αγοραστή, σύμφωνα με τον νόμο 4072/11.4.2012.
Επικοινωνήστε μαζί μας σήμερα για μια δωρεάν αξιολόγηση και ανακαλύψτε τις δυνατότητες διάθεσης του ακινήτου σας στις διεθνείς αγορές.
Επιπρόσθετα στοιχεία
- Γωνιακό
- Θέα
- Κλίση: Επικλινές
- Πρόσβαση από: Άσφαλτο
- Προσόψεως
Κωδ. 17543649
